|
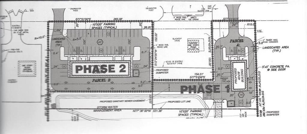
Commercial lot! can be sold with adjacent lot for a total of 2.6 acres ($373,000). Highly visible retail development site on busy Route #104 in Ontario. This property boarders on the new townhome development site (which has a total of 48 units ranging in price from $189,000-$275,000- which many do not have basements - so a storage facility would be perfect in this area). This property is pre-engineered to accommodate 3 pads or one pad and a strip plaza. All utilities are on site! Many commercial business opportunities permitted per Town Code! Traffic counts of over 22,000 cars per day! This parcel represents #2 in the attached foot print.
| DAYS ON MARKET | 10 | LAST UPDATED | 12/18/2025 |
|---|---|---|---|
| YEAR BUILT | 0 | COMMUNITY | Ontario-543400 |
| COUNTY | Wayne | STATUS | Active |
| PROPERTY TYPE(S) | Commercial |
| ADDITIONAL DETAILS | |
| AREA | Ontario-543400 |
|---|---|
| HOA DUES | Commercial |
| LOT | 1.35 acre(s) |
| LOT DESCRIPTION | Cleared, Level, Rectangular Lot |
| LOT DIMENSIONS | 278X223 |
| TAXES | 1649 |
| UTILITIES | Cable Available, Natural Gas Available, Phone Available, Electricity Available, Sewer Available, Water Available |
| WATER | Public |
MORTGAGE CALCULATOR
TOTAL MONTHLY PAYMENT
0
P
I
*Estimate only
| SATELLITE VIEW |
| / | |
We respect your online privacy and will never spam you. By submitting this form with your telephone number
you are consenting for Joanne
Smith to contact you even if your name is on a Federal or State
"Do not call List".
Listing provided by: Carole J. Snow, RE/MAX Realty Group
The data relating to real estate on this web site comes in part from the Internet Data Exchange (IDX) Program of the New York State Alliance, powered by New York State Alliance. Real estate listings held by firms other than the owner of this site, are marked with the IDX logo and detailed information about them includes the Listing Broker's Firm Name.
All information deemed reliable but not guaranteed and should be independently verified. All properties are subject to prior sale, change or withdrawal. Neither the listing broker(s) nor this site's owner shall be responsible for any typographical errors, misinformation, misprints, and shall be held totally harmless.
© 2025 New York State Alliance. All rights reserved
All information deemed reliable but not guaranteed and should be independently verified. All properties are subject to prior sale, change or withdrawal. Neither the listing broker(s) nor this site's owner shall be responsible for any typographical errors, misinformation, misprints, and shall be held totally harmless.
© 2025 New York State Alliance. All rights reserved
This IDX solution is (c) Diverse Solutions 2025.